Quarry Rd, Victorville, CA

$149,000

Previous Next

20.00

Acres

About Quarry Rd

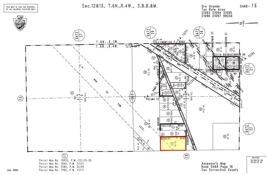
20 acres of unimproved land for sale on Quarry Rd in Victorville; APN: 0469-161-11. Zoned Resource Conservation (RC) this lot will allow for a variety of residential uses and agricultural uses, including industrial hemp cultivation, and will permit for a variety of agricultural and commercial uses subject to County approval. This site is located on the west side of Interstate 15 and approximately 1 mile from the Apple Valley 143 project, over 3MM planned square feet of industrial development on Stoddard Wells Rd. The site also has proximity to Brightline Wests future High Speed Rail Station and maintenance yard. Connecting Downtown Los Angeles to the Las Vegas Strip with stops in Apple Valley and Hesperia, the rail will cover 218 miles and reach top speeds of 186 MPH, taking approximately 2 hours from end to end. The project will bring an estimated 10,000 jobs to the area throughout the 4-year construction and is expected to break ground in 2023. Buyer to verify all information contained herein. Agent and their representatives are not responsible for the accuracy of these claims.

Features of Quarry Rd

MLS® # HD23128182
Price $149,000
Acres 20.00
Type Land
Sub-Type Lots/Land
Status Active

Community Information

Address Quarry Rd
Area VICTORVILLE (92392)
City Victorville
County San Bernardino
State CA
Zip Code 92392

Amenities

Is Waterfront No
Has Pool Yes

Interior

Fireplace Yes

Additional Information

Date Listed July 13th, 2023
Days on Market 821
Foreclosure No
Short Sale No
RE / Bank Owned No

Listing Details

OfficeNAI Capital, Inc.

Listing Map

Request a Showing

Provide a valid email address.
When would you like to view this property?