Near Lenwood, Barstow, CA

$122,000

Previous Next

2.50

Acres

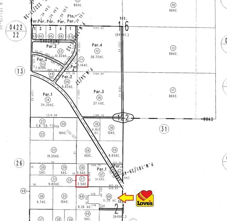
About Near Lenwood

Looking for commercial land? Here is 2.5 acres situated just behind the Loves Truck stop in Lenwood. Lenwood is full of gas stations , fast food restaurants , hotels and the popular Outlets at Barstow. Just two street lights and a few minuets away from the I-15 freeway.

Features of Near Lenwood

MLS® # HD25016853
Price $122,000
Acres 2.50
Type Land
Sub-Type Lots/Land
Status Active

Community Information

Address Near Lenwood
Area BARSTOW (92311)
City Barstow
County San Bernardino
State CA
Zip Code 92311

Amenities

Utilities N/K
Is Waterfront No
Has Pool Yes

Interior

Fireplace Yes

Exterior

Lot Description Sidewalks

Additional Information

Date Listed January 27th, 2025
Days on Market 254
Foreclosure No
Short Sale No
RE / Bank Owned No

Listing Details

OfficeColdwell Banker Home Source

Listing Map

Request a Showing

Provide a valid email address.
When would you like to view this property?